| 価格 | 2,480万円 ![]() |
||||
|---|---|---|---|---|---|
| 所在地 | 大阪府池田市五月丘4丁目
この地域周辺の物件を見る |
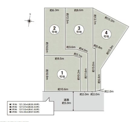
土地面積 | 127.07m² (38.44坪) | 坪単価 | 64.52万円 /坪 |
| 交通 |
阪急宝塚本線 池田 バス9分 停歩2分
|
建ぺい率 | 40 % | 容積率 | 100 % |
電話をかける(携帯・PHS可)
0120-930-922
「ホームページを見た」とお伝え下さい。
お問い合わせ番号をお伝えください
RHS-AYA400976
| 特徴 |
|
|---|---|
| 備考 | ◆その他法令上の制限:土砂災害防止対策推進法、宅地造成及び特定盛土等規制法、池田山風致地区 |
| 建築条件 | なし | 土地権利 | 所有権 |
|---|---|---|---|
| 現況/引渡し | 更地/即時 | 接道状況 | 接道: 南 2m 公道 道路幅: 5.9m |
| 私道負担面積 | - | セットバック | なし |
| 地勢 | 地目 | 宅地 | |
| 用途地域 | 第一種低層住居専用地域 | 都市計画 | 市街化区域 |
| 法令上の制限 | 第一種高度地区、景観法、航空法、都市再生特別措置法、土砂災害警戒区域法、22条区域 | 国土法届出 | 不要 |
| 取引態様 | 媒介 | ||
| 情報更新日 | 2026年05月21日 | 次回更新日 | 2026年06月04日 |
| 小学校区 | 池田市立五月丘小学校 (大阪府池田市) この学区の他の物件を見る |
中学校区 | 渋谷中学校 (大阪府池田市) この学区の他の物件を見る |
|---|
電話をかける(携帯・PHS可)
0120-930-922
「ホームページを見た」とお伝え下さい。
お問い合わせ番号をお伝えください
RHS-AYA400976
| 価格 | 万円 | ||
|---|---|---|---|
| 年利率 | % |
||
| ボーナス払い | 返済年数 | ||
| 頭金 | 直接入力する | 万円 | |

毎月のご返済額 |
ボーナス(×年2回) |
物件価格2,480万円 |
![]() |
![]() |
池田市五月丘4丁目
2480万円〜9800万円 |
電話をかける(携帯・PHS可)
0120-930-922
「ホームページを見た」とお伝え下さい。
お問い合わせ番号をお伝えください
RHS-AYA400976
営業時間:10:00〜18:00
毎週水曜
夏季および年末年始休暇あり
すまいのご相談はお気軽にどうぞ
建築条件なし!お好きなハウスメーカー・工務店で建築可能です!
約38坪のゆとりある敷地、平屋や庭付きのプランも検討可能に!
周辺には公園が多く緑豊かな住環境、子育てに最適なロケーション♪
阪急「池田」駅バス9分、「上渋谷」停徒歩3分の好立地♪